Versteigerung - KFZ-Stellplatz 7
20 E 8/24w
Zwangsversteigerung einer Liegenschaft
22.10.2025
am 12.12.2025 um 09:30 Uhr
Saal VII, 1. Stock, Bezirksgericht Donaustadt
01/20135 307 336
Besichtigungszeit: 28.11.2025 von 15:30 Uhr bis 17:30 Uhr
Die verpflichtete Partei hat den Zutritt zum Besichtigungstermin zu gewähren. Die verpflichtete
Partei wird darauf hingewiesen, dass es in ihrem Interesse ist, die Besichtigung zu
ermöglichen, da erfahrungsgemäß Interessenten, die die Liegenschaft besichtigen konnten,
eher bereit sind Gebote bzw. höhere Gebote abzugeben.
Das Originalgutachten kann Mo,Mi, Do,Fr zwischen 8.30 Uhr und 12.00 Uhr, Dienstag 8.00 Uhr bis 13.00 Uhr bei diesem Gericht (Zi 34) eingesehen werden.
Allgemeine Aufforderung
Rechte, die diese Versteigerung unzulässig machen würden, sind spätestens im Versteigerungstermin vor Beginn der Versteigerung bei Gericht anzumelden, widrigenfalls sie
zum Nachteil eines gutgläubigen Erstehers in Ansehung der Liegenschaft selbst nicht mehr
geltend gemacht werden könnten.
Allgemeine Aufforderung an die Pfandgläubiger
Diejenigen Gläubiger, für die auf dieser Liegenschaft pfandrechtlich sichergestellte
Forderungen haften, mit Ausnahme von Simultanpfandgläubiger und der Gläubiger mit
bedingten Forderungen, werden aufgefordert, vor dem Versteigerungstermin die Erklärung
abzugeben, ob sie mit der Übernahme der Schuld durch den Ersteher unter gleichzeitiger
Befreiung des bisherigen Schuldners einverstanden sind.
Wird keine Erklärung abgegeben, so wird die Forderung durch Barzahlung berichtigt. Der
Gläubiger kann sich aber noch in der Verteilungstagsatzung mit der Übernahme der Schuld in
Anrechnung auf das Meistbot durch den Ersteher und der Befreiung des früheren Schuldners
einverstanden erklären.
Aufforderung an die öffentlichen Organe bezüglich
der Steuern und sonstigen öffentlichen Abgaben
Die öffentlichen Organe, die zur Vorschreibung und Eintreibung der von der Liegenschaft zu
entrichtenden Steuern, Zuschläge, Gebühren und sonstigen öffentlichen Abgaben berufen
sind, werden aufgefordert, in Ansehung aller dieser öffentlichen Abgaben, die auf der oben
bezeichneten Liegenschaft pfandrechtlich sichergestellt sind, die Erklärung abzugeben, ob der
Übernahme der Schuld durch den Ersteher unter gleichzeitiger Befreiung des bisherigen
Schuldners zugestimmt wird.
Wird keine Erklärung abgegeben, wird die Forderung durch Barzahlung berichtigt. Der
Gläubiger kann sich aber noch in der Tagsatzung mit der Übernahme der Schuld in
Anrechnung auf das Meistbot durch den Ersteher und der Befreiung des bisherigen
Schuldners einverstanden erklären.
Die bis zum Versteigerungstermin rückständigen, von der Liegenschaft zu entrichtenden
Steuern, Zuschläge, Gebühren und sonstigen öffentlichen Abgaben samt Zinsen und anderen
Nebengebühren, die noch nicht pfandrechtlich sichergestellt sind, müssen spätestens im
Versteigerungstermin vor Beginn der Versteigerung angemeldet werden, widrigenfalls diese
Ansprüche erst nach voller Befriedigung des betreibenden Gläubigers aus der Versteigerung
berichtigt werden würden.
Ungültige Vereinbarungen
Vereinbarungen, wonach jemand verspricht, bei einer Versteigerung als Mitbieter nicht zu erscheinen oder nur bis zu einem bestimmten Preis oder sonst nur nach einem gegebenen
Maßstab oder gar nicht mitzubieten, sind ungültig. Die für die Erfüllung dieses Versprechens
zugesicherten Beträge, Geschenke, oder anderen Vorteile können nicht eingeklagt werden.
Was dafür wirklich gezahlt oder übergeben worden ist, kann zurückgefordert werden.
ALLGEMEINES:
Wenn der Eigentümer einer Liegenschaft (Grundstück, Haus, Wohnung udgl) seinen
Verpflichtungen nicht mehr nachkommt, können seine Gläubiger in letzter Konsequenz den
zwangsweisen Verkauf seiner Liegenschaft (Zwangsversteigerung) begehren. Das
Bezirksgericht bereitet die Zwangsversteigerung vor und leitet den Versteigerungstermin. Zur
Versteigerung gelangen Grundstücke, Wohnungen, Häuser, Betriebsgebäude udgl. Zum
genauen Gegenstand wird auf das Edikt und das Schätzgutachten samt Beschreibung
verwiesen. Für das Flächenausmaß bzw. die Nutzfläche wird vom Gericht keine Haftung
übernommen. Ob auch Zubehör mitversteigert wird, ist ebenfalls dem Edikt zu entnehmen.
Das Sachverständigengutachten enthält eine ausführliche Beschreibung der Liegenschaft,
Fotos und Pläne. Es kann wie auch die Versteigerungsbedingungen, die sich auf die
Liegenschaft beziehenden Urkunden, Schätzungsprotokolle usw. von den Interessenten in der
angegebenen Gerichtsabteilung während der für den Parteienverkehr bestimmten Zeit nach
vorhergehender telefonischer Anmeldung eingesehen werden. Das Schätzgutachten samt
Anhängen ist aber auch vollständig online unter www.edikte.justiz.gv.at einsehbar.
BESICHTIGUNGSTERMIN:
Ein Interessent hat die Möglichkeit, vor der Versteigerung die Liegenschaft (Wohnung, Haus
etc) zu besichtigen. Die verpflichtete Partei und allfällige Mieter haben die Besichtigung
grundsätzlich zu dulden. Der Besichtigungstermin wird über Antrag der betreibenden Parteien
oder eines Interessenten festgesetzt; bei diesem Termin ist weder ein Gerichtsvollzieher noch
ein Schlosser anwesend. Wenn gerichtlich festgesetzte Besichtigungstermine erfolglos
bleiben, kann bei Gericht (schriftlich oder am Amtstag zu Protokoll) ein Antrag auf
Durchführung eines Besichtigungstermins unter Beiziehung eines Schlossers gestellt werden.
Der betreibende Gläubiger wird zum Erlag eines Kostenvorschusses zur Deckung der Kosten
der Besichtigung aufgefordert werden, falls dieser nicht bereits dafür einen Kostenvorschuss
erlegt hat. Für den Fall, dass der Kostenvorschuss nicht oder zu knapp vor dem
Versteigerungstermin erlegt wird, wird kein Besichtigungstermin unter Beiziehung eines
Schlossers stattfinden. TEILNAHME AN DER VERSTEIGERUNG:
Die Liegenschaft darf jedermann mit Ausnahme des Verpflichteten oder seines Vertreters
erwerben. Es empfiehlt sich, bei der Versteigerung persönlich anwesend zu sein. Sollte sich
ein Interessent aber vertreten lassen, ist es nötig, dass der Vertreter eine öffentlich
beglaubigte Spezialvollmacht vorweist. Eine Vollmachtsurkunde kann bei einem Notar oder
Bezirksgericht gebührenpflichtig beglaubigt werden. (Beispiel der Formulierung: „Ich, XX,
geb..., Beruf..., wohnhaft..., bevollmächtige YY, geb..., Beruf..., wohnhaft..., mich bei der
am .... vor dem Bezirksgericht Donaustadt stattfindenden Versteigerung der Liegenschaft
Grundbuch..., EZ.... zu vertreten.) Ein Vertreter einer juristischen Person wie GmbH, OG etc.
hat einen aktuellen Firmenbuchauszug vorzuweisen. Es ist auch möglich, dass mehrere
Personen eine Liegenschaft ersteigern (Bietergemeinschaft).
WIENER AUSLÄNDERGRUNDVERKEHRSGESETZ:
Als Ausländer im Sinne dieses Gesetzes gelten: (1) natürliche Personen, welche die
österreichische Staatsbürgerschaft nicht besitzen; (2) juristische Personen sowie rechtsfähige
Personengesellschaften, die ihren satzungsgemäßen Sitz im Ausland haben; (3) juristische
Personen sowie rechtsfähige Personengesellschaften mit dem satzungsgemäßen Sitz im
Inland, an denen Ausländer im Sinne der Z 1 oder 2 überwiegend beteiligt sind; (4) Vereine
mit dem statutengemäßen Sitz im Inland, deren stimmberechtigten Mitglieder überwiegend
Ausländer sind oder deren Leitungsorgan sich überwiegend aus Ausländern zusammensetzt
(§ 2 Wiener Ausländergrunderwerbsgesetz). Die Bestimmungen des Gesetzes finden keine
Anwendung auf Rechtsgeschäfte, bei denen Ehegatten als gemeinsame Erwerber auftreten
und einer der beiden die österreichische Staatsbürgerschaft besitzt, sowie auf den Erwerb von
Objekten, an denen Wohnungseigentum begründet werden kann, durch eine
Eigentümerpartnerschaft und ein Partner der Eigentümerpartnerschaft die österreichische
Staatsbürgerschaft besitzt (§ 3 Z 1 leg cit).
Personen, welche die Staatsbürgerschaft eines Mitgliedstaates der EUROPÄISCHEN UNION,
des EWR und der SCHWEIZ haben, werden wie Inländer behandelt (die Staatsbürgerschaft
ist aber nachzuweisen).
Im Versteigerungsverfahren darf der Zuschlag an einen Ausländer nur erteilt werden, wenn er
den Bescheid über die Genehmigung zum Erwerb (§ 4 leg cit) oder eine Bestätigung darüber
vorliegt, dass die behördliche Genehmigung nicht erforderlich ist (§ 5 Abs. 4 leg cit). Zuständig
für die Ausstellung des Bescheids und der Bestätigung ist die MA 35 - Referat Business
Immigration Office, Zelinkagasse 9, 1010 Wien (Onlineterminvereinbarung unter
www.wien.gv.at/kontakte/ma35/terminvereinbarung-drittstaaten.html). Bei Superädifikaten ist
keine Genehmigung oder Negativbestätigung erforderlich (vgl www.wien.gv.at/amtshelfer/bauen-wohnen/grund/erwerb/auslaendergrunderwerb.html).
Am Beginn der Versteigerung MUSS daher - zusammengefasst - entweder (a) die
österreichische Staatsbürgerschaft nachgewiesen werden oder (b) die Staatsbürgerschaft
eines Mitgliedstaates der EUROPÄISCHE UNION/EWR/Schweiz oder (c) der entsprechende
Bescheid bzw. die entsprechende Negativbestätigung vorgewiesen werden.
Ein LICHTBILDAUSWEIS muss JEDENFALLS vorgelegt werden.
VADIUM:
Das Vadium ist eine Sicherheitsleistung, die der Ersteher vor der Erteilung des Zuschlags
ausschließlich in Form eines Sparbuches erlegen muss. Andere Formen als Vadium (Bargeld,
Scheck, Online-Sparbuch, Online-Konto etc.) sind nicht zulässig. Über Personen, die ohne
Vadium mitbieten, kann eine Geldstrafe bis 10.000 Euro verhängt werden (§ 180 Abs. 1 EO).
Bis zu einem Betrag von 15.000 Euro kann man ein bloßes Sparbuch mit Losungswort
erlegen, über 15.000 Euro ist jedenfalls ein Namenssparbuch nötig. Das Sparbuch muss auf
den Ersteher legitimiert sein. Es ist aber auch möglich, statt eines Namenssparbuchs mehrere
(bloße Losungswort-) Sparbücher mit einer Einlage jeweils unter 15.000 Euro zu erlegen. Die
Höhe des Vadiums beträgt 10% des Schätzwertes und wird mit dem Edikt verlautbart.
ABLAUF DER VERSTEIGERUNG:
Nach Aufruf der Sache erteilt der Richter alle nötigen Auskünfte. Das Schätzgutachten und ein
aktueller Grundbuchsauszug liegen zur Einsicht auf. Es werden die Erklärungen betreffend die
Lasten auf der Liegenschaft verlesen und erörtert. Weiters wird auf die Vadiumsverpflichtung
hingewiesen und über verbotene Abreden belehrt. Anschließend wird zum Bieten
aufgefordert. Es muss zumindest das geringste Gebot, das idR (vorbehaltlich von
Änderungen, die im Edikt enthalten sind) der halbe Schätzwert ist, geboten werden. Ob
Versteigerungsstufen angeordnet werden, wird im Termin bekannt gegeben. Die
Versteigerung wird fortgesetzt, solange höhere Anbote abgeben werden. Wenn ungeachtet
einer zweimaligen Aufforderung kein höheres Anbot abgegeben wird, ist die Versteigerung zu
schließen. Anschließend wird, sofern das Vadium erlegt und keinem allfällig erhobenen
Widerspruch stattgeben wird, der Zuschlag erteilt. Dieser Beschluss wird ausgefertigt und den
Parteien des Verfahrens sowie dem Ersteher zugestellt. Der Richter wird bekannt geben, ob
noch ein Überbot möglich ist. Nach Ablauf der Rechtsmittelfrist und einer allfälligen 14-tägigen
Überbotsfrist, ist die Erteilung des Zuschlags idR rechtskräftig. Ab Rechtskraft läuft die
Erlagsfrist für das Meistbot. ÜBERBOT:
Wenn das Meistbot drei Viertel des Schätzwertes nicht erreicht, kann die Versteigerung durch
ein Überbot unwirksam werden. Ein Überbot ist zu berücksichtigen, wenn der Überbieter sich
bereit erklärt, einen das frühere Meistbot mindestens um ein Viertel übersteigenden Preis zu
entrichten. Das Überbot ist innerhalb 14 Tagen nach öffentlicher Bekanntmachung der
Zuschlagserteilung beim Exekutionsgericht anzubringen und gleichzeitig anzubieten, dass ein
Viertel des Überbots durch gerichtlichen oder notariellen Erlag von Bargeld oder
Sparurkunden binnen sieben Tagen nach gerichtlicher Aufforderung sichergestellt werden
wird. Der Ersteher kann das höchste Überbot dadurch entkräften, dass er innerhalb dreier
Tage sein Meistbot auf den Betrag des höchsten Überbots erhöht.
KOSTEN:
Für den Erwerb der Liegenschaft hat der Ersteher das Meistbot binnen zwei Monaten nach
rechtskräftiger Zuschlagserteilung samt 4 % Zinsen aus dem Meistbot (gerechnet ab dem Tag
der Versteigerung bis zum Einlangen des Meistbots auf dem Konto) zu erlegen. Das
entsprechende Bankkonto wird dem Ersteher nach der Versteigerung bekannt gegeben. Vom
Meistbot kann das erlegte Vadium abgezogen werden. Bei den Zinsen empfiehlt es sich, die
Höhe selbstständig auszurechnen und gerundet zu erlegen. Die exakte Höhe der Zinsen
ermittelt das Gericht nach vollständiger Berichtigung des Meistbots. Sollte zu viel an Zinsen
erlegt werden, bekommt der Ersteher den Überschuss zurück. Sollte zu wenig an Zinsen
bezahlt worden sein, wird der Ersteher aufgefordert, den entsprechenden Betrag
nachzuschießen. Es empfiehlt sich, das Meistbot umgehend zu erlegen, um die
Zinsenbelastung gering zu halten.
Wenn der Ersteher mit der Bezahlung des Meistbots säumig ist, kann auf seine Kosten die
Wiederversteigerung der Liegenschaft angeordnet werden. Er haften dann für die Differenz
bei einem geringeren Meistbot („Ausfall am Meistbot”) in der zweiten Versteigerung und für
sämtliche Kosten der Wiederversteigerung.
Neben dem Meistbot fallen noch weitere Kosten an:
(A) Kosten und Gebühren (1,1% vom Meistbot + 58 € Eingabengebühr) für die
bücherliche Einverleibung des Eigentumsrechts:
(B) Grunderwerbssteuer (für deren Entrichtung sich der Ersteher selbstständig an das
Finanzamt wenden muss): 3,5% vom Meistbot. HINWEIS: Seit 01.01.2013 muss die
Abgabenerklärung zwingend durch Notar oder Rechtsanwalt erfolgen.
(C) allfällige und vorläufige Kosten der Räumung (siehe unten) LASTEN:
Dienstbarkeiten, Hypotheken udgl.:
Die Zwangsversteigerung ist vom Grundsatz geprägt, dass der Ersteher grundsätzlich eine
lastenfreie Liegenschaft erwirbt. Das heißt, der Ersteher kann beantragen, dass nach
Verteilung des Meistbotes sämtliche Pfandrechte gelöscht werden. Dieser Antrag ist am
besten mit dem Antrag auf Einverleibung des Eigentumsrechtes zu stellen. In diesem Fall
sollte man sich diesbezüglich an einen Anwalt oder Notar wenden. Das vom Ersteher bezahlte
Meistbot wird zur Deckung aller Schulden verwendet; Gläubiger, deren Forderungen nicht
gedeckt sind, gehen leer aus und haben nicht die Möglichkeit, sich an den Ersteher zu halten.
Hypothekargläubiger, deren Forderung befriedigt werden könnte, haben aber auch die
Möglichkeit, dass Pfandrechte auf der Liegenschaft einverleibt bleiben (Schuldübernahme
statt Barzahlung). In diesem Fall übernimmt der Ersteher die entsprechende Schuld des
Verpflichteten, es vermindert sich aber das Meistbot in diesem Ausmaß. Ob nun ein
Hypothekargläubiger auf Barzahlung verzichtet, erfährt man im Versteigerungstermin.
Neben Pfandrechten ist auf Dienstbarkeiten, Ausgedinge und Reallasten zu achten; also zB
Wohnrechte, Wasserrechte, Wegerechte, Renten und dgl. Ob diese Lasten zu übernehmen
sind, ergibt sich aus dem Versteigerungsedikt. Jedenfalls zu übernehmen sind öffentlich
rechtliche Lasten (zB die Verpflichtung einen öffentlichen Kanal oder die Stromleitung zu
dulden.
Bestandverträge:
Bestandverträge (Pacht oder Miete): Ein Ersteher ist wie ein Käufer grundsätzlich an
bestehende Bestandverträge gebunden und muss deswegen etwa auch die vom Mieter
allenfalls erlegte Kaution beim Auszug zurückzahlen. Ob ein Mietvertrag vorliegt, ergibt sich
oft aus dem Schätzgutachten samt Beschreibung bzw aus dem Edikt. In einigen Fällen kommt
es aber auch vor, dass ein Mieter im Verfahren zunächst nicht aufscheint, sondern sich erst zu
erkennen gibt, nachdem die Liegenschaft bereits verkauft wurde. Es wird vom
Exekutionsgericht im Rahmen des Exekutionsverfahren nicht abschließend beurteilt, ob nun
dieser Mietvertrag wirksam oder bloß vorgetäuscht ist. Hier unterscheidet sich das Risiko des
Erstehers kaum von jenem eines außergerichtlichen Käufers. Wie der Käufer unterliegt auch
der Ersteher dem Risiko, dass er in allfälligen Rechtsstreitigkeiten nach Eigentumsübergang
die Frage klären lassen muss, ob nun ein wirksamer Bestandvertrag vorliegt oder nicht.
Abgabenschulden des Verpflichteten betreffend die Liegenschaft (Kanal-, Wassergebühren,
Grundsteuer etc):
Manche Abgaben sind von Gesetzes wegen vorzugsweise aus dem Meistbot zu befriedigen.
Die anderen Abgaben werden im Verfahren grundsätzlich wie andere Lasten behandelt. Sie
werden vom Meistbot im Rang der Forderung der Gemeinde berichtigt. Reicht das Meistbot nicht aus, so ist es gängige Praxis, dass die Gemeinde jene Forderungen gegen den
Verpflichteten später vom Ersteher verlangen, soweit sie im Exekutionsverfahren nicht zum
Zug gekommen sind. Die Höhe der aushaftenden Abgabenschulden sind dem Gericht nur
bekannt, wenn die Gemeinde eine Forderungsanmeldung erstattet oder wenn der
Sachverständige die entsprechende Beträge erhoben hat.
Eine wichtige SONDERREGELUNG gilt bei WOHNUNGSEIGENTUM betreffend im Sinn des
§ 27 Abs 3 WEG bevorzugte Forderungen: Diese Forderungen werden vorzugsweise aus dem
Meistbot befriedigt. Wenn sie aber keine Deckung in der Verteilungsmasse finden, so sind sie
vom Ersteher zusätzlich zum Meistbot zu übernehmen.
ÜBERGABE DER LIEGENSCHAFT AN DEN ERSTEHER.
Wenn dem Ersteher der Zuschlag rechtskräftig erteilt wurde und er das Meistbot samt Zinsen
vollständig bezahlt hat, hat er Anspruch, dass ihm die Liegenschaft übergeben wird. Die
Übergabe (Delogierung) ist bei Gericht (schriftlich oder zu Protokoll) zu beantragen. Das
Gericht führt wohl die Räumung durch, die Arbeitskräfte (Träger, Schlosser), Kartons und
Transportmittel (LKW) muss jedoch der Ersteher bereit stellen, wobei er die Möglichkeit hat,
diese Kosten binnen vier Wochen vom Verpflichteten bei Gericht (schriftlich oder zu Protokoll)
zu begehren. Eine Garantie, dass der Verpflichtete die Kosten tatsächlich ersetzt, kann aber
das Gericht nicht geben, es ist in vielen Fällen fraglich, ob die Kosten tatsächlich ersetzt
werden. Es empfiehlt sich auch hier, sich direkt an den Verpflichteten zu wenden um eine
gütliche, kostenschonende und außergerichtliche Übergabe zu vereinbaren. Keinesfalls ist
hier Selbsthilfe gestattet. Der Ersteher ist also nicht befugt, ohne Rücksprache mit dem
Verpflichteten in Eigenregie Schlösser auszuwechseln und Sachen zu entfernen. Sollte eine
gerichtliche Räumung anberaumt werden, können allfällige Informationen über die Mitwirkung
des Erstehers beim zuständigen Gerichtsvollzieher eingeholt werden.
GRUNDBUCHSORDNUNG:
Der Ersteher ist nach rechtskräftiger Verteilung des Meistbots verpflichtet, die Herstellung der
Grundbuchsordnung zu beantragen. Er muss sich um die Einverleibung seines
Eigentumsrechtes und um die Löschung der Lasten kümmern. Diesbezüglich und auch bei
einer zwischenzeitlichen Weiterveräußerung durch den Ersteher sollte man sich an einen
Anwalt oder Notar wenden, weil es sich um einen formalrechtlichen Antrag handelt.
Findet die Versteigerung statt?
Es kommt immer wieder vor, dass sich die Parteien sprichwörtlich in letzter Sekunde einigen
und die Versteigerung entfällt. Sobald das Gericht von einer solchen Einigung erfährt, wird der Entfall der Versteigerungstagsatzung durch Edikt bekanntgemacht. Es wird daher empfohlen,
möglichst kurz vor dem Termin in der Ediktsdatei Einsicht zu nehmen und sich zu
vergewissern, dass der Termin noch aufrecht ist.
01669 Kaisermühlen
697
8
Julius-Payer-Gasse 11
1220 Wien
Sonstiges
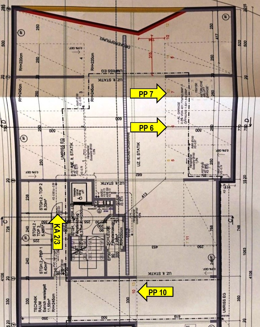
KFZ-Stellplatz in der Tiefgarage
Die Liegenschaft besteht aus dem Grundstück Nr. 2483/51 und ist eine zwischen Wagramer
Straße und Gotenweg gelegene, trapezförmig zugeschnittene Mittelparzelle mit einer im
Grundbuch ausgewiesenen Grundfläche von 986 m².
Mit Baurechtsvertrag vom 13.11.2018 hat das Chorherrenstift Klosterneuburg der
verpflichteten Partei für die Dauer von 100 Jahren ein Baurecht an der gegenständlichen
Liegenschaft eingeräumt. Im Jahr 2020 wurde Baurechtswohnungseigentum begründet. In EZ
697 ist zu C-LNr. 1 a die Reallast der Verpflichtung zur Zahlung des jährlichen Bauzinses in
Höhe von EUR 29.589,86 gemäß Punkt IV. des Baurechtsvertrages ersichtlich gemacht.
In den Jahren 2019 bis 2021 wurde auf der Liegenschaft eine Wohnhausanlage errichtet (die
Baubewilligung wurde 2019 erteilt). Die Anlage besteht aus zwei Wohnblöcken (Stiegen 1 und
2), sowie einer Tiefgarage mit elf Pkw-Stellplätzen. Die beiden Häuser mit insgesamt neun
Wohnungen bestehen aus einem gemeinsamen Kellergeschoss, weiters aus Erdgeschoss,
Obergeschoss sowie teilweise mit Galerie ausgestattetem Dachgeschoss. Sie verfügen
jeweils über Gegensprechanlage und Lift sowie über einen Fahrrad-/Kinderwagenraum im
Keller. Die einzelnen Objekte werden zentral mittels Wärmepumpe, solarunterstützt beheizt.
Die Wohnhausanlage befindet sich zum Bewertungsstichtag in teilweise unfertigem
Gesamtzustand.
Die Reparaturrücklage weist laut Auskunft der Hausverwaltung Georg Wiesbauer GmbH zum
31.12.2024 ein Minus von ca. EUR 20.000,00 auf. Im Jahr 2025 sind über die Behebung
bestehender Baumängel hinausgehend keine größeren Erhaltungs- oder
Verbesserungsarbeiten geplant.
Die Liegenschaft verfügt über folgende Anschlüsse: Wasser, Kanal und Strom.
Die KfZ-Stellplätze Nr. 6 (BLNr 7), 7 (BLNr 8) und 10 (BLNr 11) befinden sich in der
Tiefgarage. Die Stellplätze Nr. 6 und 7 befinden sich (gemeinsam mit einem weiteren
Stellplatz) in einer Dreierbox, die Größe beträgt jeweils 12,50 m². Der Kfz-Stellplatz Nr. 10
weist eine Fläche von 16,50 m² auf.
Laut Information der MA 6 vom 18.4.2024 bestehen keine aushaftenden Abgaben.
Im Übrigen wird auf die Fassung des Schätzungsgutachtens und des Versteigerungsedikts in
der Ediktsdatei im Internet verwiesen.
Grundstücksgröße: 986 m²
Objektgröße: KfZ-Stellplatz Nr. 6 (BLNr 7): 12,50 m²
KfZ-Stellplatz Nr. 7 (BLNr 8): 12,50 m²
KfZ-Stellplatz Nr. 10 (BLNr 11): 16,50 m²
Wohnung Top 2/3 (BLNr 23): 139,23 m²
Einlagerungsraum 2/3 im Keller: 8,33 m²
12,50 m²
25.000,00 EUR
kein Zubehör
2.500,00 EUR
12.500,00 EUR
Baurechtswohnungseigentum
Vom Ersteher ohne Anrechnung auf das Meistbot zu übernehmen ist/sind die im Grundbuch
01669 Kaisermühlen, EZ 697, unter CLNr. 1 enthaltene/n Reallast.
Alle Edikte zum Fall:
1220 Wien, Julius-Payer-Gasse 11
1220 Wien, Julius-Payer-Gasse 11
1220 Wien, Julius-Payer-Gasse 11
1220 Wien, Julius-Payer-Gasse 11

